• Home
  • Cruising Compass Media Advertising & Rates
  • Blue Water Sailing
  • Multihulls Today
  • Contact Us
  • Subscribe Today
Cruising Compass
Dock Talk 0

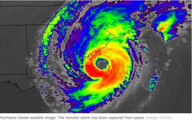
Marina and Bridge Updates Post Hurricane Dorian

By Sandy Parks · On September 13, 2019

Waterway Guide has a continually updated site regarding hurricane damage. The report keeps track of what marinas and bridges are open or not with notes updating the information as they receive it. Read More

Share Tweet

Sandy Parks

You Might Also Like

  • Dock Talk

    Brian Hooker’s Boat Soulmate Seized by Coast Guard

  • Dock Talk

    Mindbender

  • Dock Talk

    Survey of the Week

Recent Posts

  • Mindbender

    May 20, 2026
  • Survey. of the Week

    May 20, 2026
  • BVI Cruising Fees Slam Door on USVI Charters and Many Cruisers

    May 20, 2026

Please Visit Our Sponsor’s Webpages

 

 

 

 

 

 

 

 

 

 

 

 

 

 

  • Home
  • Media Advertising & Rates
  • Blue Water Sailing
  • Multihulls Today
  • Archives
  • Contact Us

Published by Blue Water Sailing Media, a division of Day Communications, Inc., Middletown, RI

Publisher & Editor: George Day

Blue Water Sailing Media publishes Blue Water Sailing magazine, Multihulls Today and other titles.

Cruising Compass Advertising Sales:

George Day, Newport, RI
george@bwsailing.com
401-847-7612

 

Recent Posts

  • Mindbender
  • Survey. of the Week
  • BVI Cruising Fees Slam Door on USVI Charters and Many Cruisers
  • Brian Hooker’s Boat Soulmate Seized by Coast Guard
  • Mindbender
  • Survey of the Week
  • Eight Bells for the Legendary Ted Turner

Search

© 2014 Blue Water Media. All rights reserved. | Admin