The discovery of hull blisters elicits a mental “oh no!” from most boat owners. But in many cases, the solution is simple and inexpensive. BoatUS has a cheat ...
On September 13, 2019 / By Sandy ParksIt’s September which means its opening season for boat shows. There may not be as many new boats in production as in the past but there are still ...
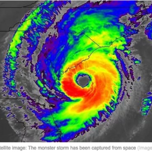
On September 13, 2019 / By Sandy ParksWaterway Guide has a continually updated site regarding hurricane damage. The report keeps track of what marinas and bridges are open or not with notes updating the information ...
On September 13, 2019 / By Sandy Parks(ABC News/Aus) – Two foreign nationals have faced court charged with attempting to smuggle more than a tonne of cocaine and ecstasy into Western Australia after their yacht ...
On September 13, 2019 / By Sandy Parks(Fox News) – The U.S. navy boat was lost at sea in September 2018 during a training mission off the coast of Norfolk, VA. It drifted across the ...
On September 13, 2019 / By Sandy Parks(Forbes) – A bundle of warm water has formed, stretching from Alaska to Mexico causing scientists to become concerned. These heat waves can cause massive die-offs of seabirds ...
On September 13, 2019 / By Sandy Parks(BBC News) – Socrates has sailed into the record books, becoming the oldest person to sail singlehanded, non-stop around the world. An earlier attempt resulted in her breaking ...
On September 13, 2019 / By Sandy ParksThis week in the U.S. and Europe is the start of the fall boat show season. In the U.S., the Newport International Boat Show kicks off today, Thursday, ...
On September 13, 2019 / By Sandy ParksWhat a great (guilt-free) way to get your potato chip fix without the chips. Yukon potatoes are first cooked in white vinegar. When tender, place them in a ...
On September 6, 2019 / By Sandy ParksThe Triton has a rundown on what the charter trade went through with Hurricane Dorian in the Virgin Islands this past week. The good news is that other ...
On September 6, 2019 / By Sandy ParksPublished by Blue Water Sailing Media, a division of Day Communications, Inc., Middletown, RI
Publisher & Editor: George Day
Blue Water Sailing Media publishes Blue Water Sailing magazine, Multihulls Today and other titles.
Cruising Compass Advertising Sales:
George Day, Newport, RI
george@bwsailing.com
401-847-7612
© 2014 Blue Water Media. All rights reserved. | Admin
